※現地に釣り禁止の看板のある場所や、釣り禁止エリアでの釣行、路上駐車・ゴミ放置などの迷惑行為はお控え下さい。
※釣行の際は、必ずライフジャケットを着用下さい。
大幸丸
Loading...
いいねしたユーザー(件)
釣行日
2020-02-19
時間
午前
天気
--
気温
--
潮
若潮
釣果
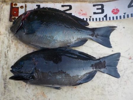
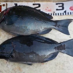
イサキ,グレ(メジナ)
釣り方
フカセ釣り
※現地に釣り禁止の看板のある場所や、釣り禁止エリアでの釣行、路上駐車・ゴミ放置などの迷惑行為はお控え下さい。
※釣行の際は、必ずライフジャケットを着用下さい。
2020-02-19
午前
--
--
若潮