ミッチェ

強風覚悟でライトエギングしたものの、数十分で挫折したので、新竿の鱗付けに以前から気になっていたすぐ近くの石畳でメバリング開始!
手前に海藻もあり嫌な予感がしたら、予想通り根掛かり。………!
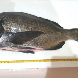
ドラグが急に出だしたものの竿もリールも耐えれそうにないと思い、ラインを手で手繰り寄せると沖の方でバシャバシャし出して、数分格闘し手繰り寄せるとそこそこサイズのチヌでした。
メバガシが多少釣れればと思っていたので、思わぬ収穫でした。

#関西 #兵庫県 #瀬戸内海側 #姫路西部 #飾磨 #広畑 #エギング #メバリング #カサゴ #ガシラ #クロダイ #チヌ