寿丸
2020年1月19日釣果情報
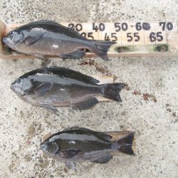
※2020年1月19日釣果情報 宮崎さん クチブトクロ48,5㎝、46㎝、40㎝を、フカセ釣りで釣られたそうです。釣られたお魚【クチブトクロ46㎝、40㎝】頂きました、ありがとうございました。クチブトクロ48,5㎝、46㎝、40㎝、お見事でした。 脇山さん 真鯛60㎝(2,57㎏)、50㎝(1,55㎏)、クチブトクロ45㎝を、フカセ釣りで釣られたそうです。真鯛60㎝、50㎝、クチブトクロ45㎝、お見事でした。
松尾さん クチブトクロ41㎝を、フカセ釣りで釣られたそうです。クチブトクロ41㎝、お見事でした。
フカセ釣りのお客様で、複数磯瀬で良型クチブトクロ【40㎝~45㎝超え】複数回ヒットしたそうなのですが、残念ながらバラシ【すっぽ抜け、瀬ズレ】たそうです。次回、リベンジ、頑張られてください。 その他の磯瀬では、フカセ釣りのお客様は、チヌ45㎝~40㎝級、小鯛、クチブトクロ38㎝、37㎝、30㎝、オナガクロ30㎝、足裏サイズを、釣られたそうです。小ぶりの魚は、リリースされてました。 強風【北西風】風波、うねり波が、高く、貝瀬近辺磯瀬は午前9時30分には、風裏、波裏へ瀬替わりとなりました、相乗り承諾してくださったお客様ありがとうございました。 強風、うねり波が、やや高い中、正午過ぎ、最終まで皆さんお疲れ様でした。


















