※現地に釣り禁止の看板のある場所や、釣り禁止エリアでの釣行、路上駐車・ゴミ放置などの迷惑行為はお控え下さい。
※釣行の際は、必ずライフジャケットを着用下さい。
まこと渡船
Loading...
いいねしたユーザー(件)
釣行日
2020-01-18
時間
日中
天気
晴れ
気温
寒い
潮
小潮
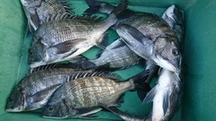
釣果
クロダイ(チヌ)
釣り方
フカセ釣り
※現地に釣り禁止の看板のある場所や、釣り禁止エリアでの釣行、路上駐車・ゴミ放置などの迷惑行為はお控え下さい。
※釣行の際は、必ずライフジャケットを着用下さい。
2020-01-18
日中
晴れ
寒い
小潮