寿丸
2020年1月16日釣果情報
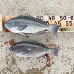
※2020年1月16日釣果情報 辻さん クチブトクロ49,5㎝、44㎝を、フカセ釣りで釣られたそうです。尚、釣られた時に尾鰭の上部は切れてたそうです、尾鰭切れてなかったら長寸50㎝超えてたと思うのですが・・・クチブトクロ49,5㎝、44㎝、お見事でした。
田中さん クチブトクロ40,5㎝、39㎝2枚、38㎝2枚、34㎝~31㎝を、フカセ釣りで釣られたそうです。その他、オナガクロ足裏サイズも釣られたそうですが、小ぶりの魚は、リリースされたそうです。釣られたお魚【クチブトクロ1枚】頂きました、ありがとうございました。クチブトクロ40,5㎝、39㎝2枚、38㎝2枚、お見事でした。 ※写真はご遠慮しますとの事でしたので、コメントだけ記載します。 フカセ釣りでのお客様で、クチブトクロ43級~40㎝2枚、39㎝2枚、38㎝3枚、35㎝を、釣られたそうです。43㎝級~40㎝2枚、39㎝2枚、38㎝3枚、お見事でした。 その他の磯瀬では、フカセ釣りのお客様は、真鯛45㎝級、チヌ40㎝級、クチブトクロ35㎝、33㎝、30㎝、オナガクロ足裏サイズを、釣られたそうです。小ぶりの魚は、リリースされてました。 正午過ぎ、最終まで皆さんお疲れ様でした。


















