イーター
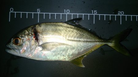
ほんの30分だけルアーを投げて、いるか確認してきました!
しばらくすると、ひったくる当たりでフッキングそして確保!
そのあともしましたが、単発だったのかスレてしまったか釣れず また釣行します!
※現地に釣り禁止の看板のある場所や、釣り禁止エリアでの釣行、路上駐車・ゴミ放置などの迷惑行為はお控え下さい。
※釣行の際は、必ずライフジャケットを着用下さい。
2015/10/13
夕方
晴れ
快適
大潮
メッキ1匹
ルアー
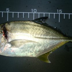
ほんの30分だけルアーを投げて、いるか確認してきました!
しばらくすると、ひったくる当たりでフッキングそして確保!
そのあともしましたが、単発だったのかスレてしまったか釣れず また釣行します!