寿丸
2020年1月4日釣果情報
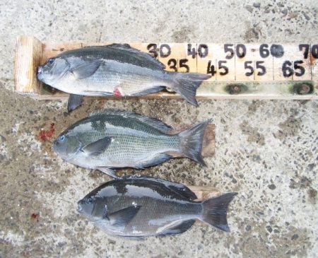
※2020年1月4日釣果情報 田嶋さん ヒラゴ68㎝(2,95㎏),65㎝(2,43㎏)を、小アジの泳がせ釣りで、釣られたそうです。ヒラゴ68㎝、65㎝、お見事でした。 川内さん クチブトクロ44㎝、40,5㎝、40㎝、39㎝、38㎝、33㎝を、フカセ釣りで釣られたそうです。その他、小鯛も釣られてました。釣られたお魚【クチブトクロ39㎝、38㎝、33㎝】お裾分け頂きました、ありがとうございました。クチブトクロ44㎝頭に、40㎝超え合計3枚、お見事でした。 濵﨑さん クチブトクロ43,5㎝、40,5㎝、37,5㎝2枚、36,5㎝を、フカセ釣りで釣られたそうです。その他、クチブトクロ35㎝~33㎝も釣られてました。釣られたお魚【クチブトクロ35㎝~33㎝】お裾分け頂きました、ありがとうございました。クチブトクロ43,5㎝、40,5㎝、お見事でした。 前嶌さん 真鯛41㎝、クチブトクロ40㎝、37㎝を、フカセ釣りで釣られたそうです。真鯛41㎝、クチブトクロ40㎝、お見事でした。 その他の磯瀬では、フカセ釣りのお客様は、複数磯瀬で、チヌ40㎝級、クチブトクロ39㎝、38㎝、37㎝、35㎝、33㎝、30㎝、オナガクロ30㎝を、釣られたそうです。小ぶりの魚は、リリースされてました。 正午過ぎ、最終まで、皆さんお疲れ様でした。 ※お裾分け頂いたお魚、後日、炙り刺身【クチブトクロ】にして釣行されたお客様、お土産にお渡ししょうと思います。






















