寿丸
2019年12月29日釣果情報
※2019年12月29日釣果情報 齋藤さん ブリ93㎝(7,20㎏)、ヒラゴ68㎝(2,80㎏)を、小アジの泳がせ釣りで、釣られたそうです。昨日に続き今日も、良型ブリ93㎝、ヒラゴ68㎝、お見事でした。
楠本さん ブリ91㎝(6,70㎏)、84㎝(5,10㎏)、83㎝(4,60㎏)、80㎝(4,90㎏)を、小アジの泳がせ釣りで、釣られたそうです。良型ブリ91㎝頭に、80㎝超え合わせて4本、お見事でした。
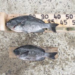
下見さん ブリ82㎝(5,00㎏)を、ショアジギングで釣られたそうです。ブリ82㎝、お見事でした。 佐藤さん クチブトクロ42㎝、35㎝を、フカセ釣りで釣られたそうです。その他、クチブトクロ30㎝、オナガクロ足裏サイズも釣られてました。磯瀬で、鱗、内臓は、取り除かれてました。クチブトクロ42㎝、お見事でした。 脇山さん クチブトクロ40㎝、38,5㎝、36,5㎝を、フカセ釣りで釣られたそうです。その他、クチブトクロ30㎝、オナガクロ足裏サイズも釣られてました。クチブトクロ40㎝、お見事でした。
小アジの泳がせ釣りのお客様で、青物【ヒラゴ65㎝~70㎝級・ブリ80㎝~95㎝級】複数回ヒットしたそうなのですが、残念ながらバラシ【すっぽ抜け】たそうです。次回、リベンジ、頑張られてください。 その他の磯瀬では、フカセ釣りのお客様は、シマアジ40㎝級、チヌ40㎝超え、複数磯瀬でクチブトクロ37㎝、35㎝、33㎝、30㎝、オナガクロ33㎝、30㎝、足裏サイズを、釣られたそうです。小ぶりの魚は、リリースされてました。 正午、正午過ぎ、最終まで皆さんお疲れ様でした。
#九州 #長崎 #西海市 #長崎市 #樺島周辺 #のませ釣り #フカセ釣り #ショアジギング #グレ #メジナ #ヒラマサ #ブリ
























