ウッドソルジャー
6時に帰宅し夕飯の6時半までの30分間の短時間の釣行。
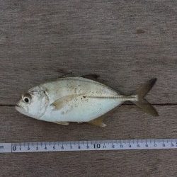
釣り場に着くと何やら魚のライズが。潮目にポッパーを通しているとガツンとバイト!強烈な引きでメッキ?と思っていると案の定メッキでした。
その後も同じパターンでもう1匹追加。良い釣行でした
※現地に釣り禁止の看板のある場所や、釣り禁止エリアでの釣行、路上駐車・ゴミ放置などの迷惑行為はお控え下さい。
※釣行の際は、必ずライフジャケットを着用下さい。
2015/9/17
夕方
曇り
快適
中潮
メッキ2匹
ソルパラ SPS-S762M メジャークラフト
Alivio2500 シマノ
五目ポッパー ピンク デュエル
プラッキング
6時に帰宅し夕飯の6時半までの30分間の短時間の釣行。
釣り場に着くと何やら魚のライズが。潮目にポッパーを通しているとガツンとバイト!強烈な引きでメッキ?と思っていると案の定メッキでした。
その後も同じパターンでもう1匹追加。良い釣行でした