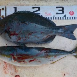
11月30日
5番クジ

ゾウノハナ
フカセ
グレ36cm

1枚

ツバス41cm

1本
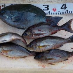
徳島

林さん
上り潮?
21,5度
イサギ35cm

1枚
徳島

岸上さん
キバ
グレ37cm

1枚

イサギ30〜31cm

5枚

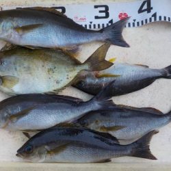
阿南

佐坂さん
まっちゃんバエ
グレ34cm

1枚

アカハタ36cm

1匹
徳島

赤石さん
キムラ
イサギ27〜28cm

2枚

アカハタ28〜28cm

2匹

イスズミ50cm

1枚
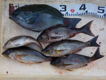
阿南

国久さん
ヒジカケ
イサギ29〜34cm

5枚

アイ33cm

1枚
徳島

白井さん

#四国 #徳島 #フカセ釣り #イサキ #グレ #メジナ #ツバス #ワカシ