トラヤ
なめろうが食べたい!と妻に言われ、深夜のどんこ釣りへ。
早々に1匹釣りあげるも、後が続かず…。
風が強く投げるのも難しいため、ひたすらに足元をチョンチョン。
結局その1匹で一旦引き上げ、朝を待つことに。
朝5時からは長男と一緒に再び漁港へ。
二人で張り切って竿を垂らすも、リアクションなし…。
8時頃になって念願のヒット!
小さいサバをようやく1匹Get。
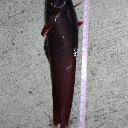
再び足元に竿を垂らしていると、ガン!っと強い当たりが!
ドンコより強い引きにワクワクしながらあげてみると、そこにははじめましてのアイナメさん。
時計を見るともう9時。
サイズもそこそこなのでキープし、本日の釣行は終了。
ちなみに息子は、人生初のボウズを経験しました。


















