ブラックV6ヴァンガード
ウェーデイングでかけあがり狙い。ショートダートよりもズル引きが良かった。一日粘って単発が数回でした。
※現地に釣り禁止の看板のある場所や、釣り禁止エリアでの釣行、路上駐車・ゴミ放置などの迷惑行為はお控え下さい。
※釣行の際は、必ずライフジャケットを着用下さい。
2015/3/14
朝
雨
寒い
小潮
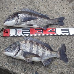
チヌ48cm、45cm・・・2匹
7フィートソリッドティップスピニングロッド
1000番スピニングリール
2gジグヘッド
ストレート系ワーム(フィンフィッシュ2.5")
ルアー釣り
ウェーデイングでかけあがり狙い。ショートダートよりもズル引きが良かった。一日粘って単発が数回でした。