3104
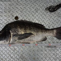
朝マヅメの夜明けから30分ぐらいの時、ひったくるような強烈なあたりでした。
今朝は活性が低くその他は0で終了です。
※現地に釣り禁止の看板のある場所や、釣り禁止エリアでの釣行、路上駐車・ゴミ放置などの迷惑行為はお控え下さい。
※釣行の際は、必ずライフジャケットを着用下さい。
2019/9/14
朝
曇り
快適
大潮