伊豆下田フィッシング
4/28(日)鵜渡根方面釣果情報です🎵✋😊❤️
Postedon2019年4月28日日曜日
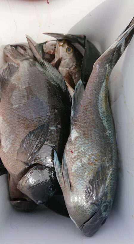
磯は、口太メジナ、尾長メジナ、イサキ、マダイ等が釣れておりました✋❤️
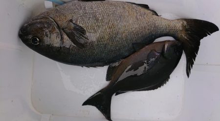
ショアルアーは、カンパチゲット‼️✨
おめでとうございます✨✨
オフショアジギングは、本日は根魚、青物共に喰い渋りました✋
アヤメカサゴ他が釣れました✋❤️
本日も皆さん、お疲れ様でした
明日4/29(月)も鵜渡根方面へ出船致します
宜しくお願い致します
鵜渡根周りのオフショアジギングの基本的なタックルは、ヒラマサ&カンパチの獲り頃サイズ(3~6㎏級)、ハタ類(10㎏級まで)を頂点として、アヤメカサゴ、カンコ、マダイ、ヒラメ等狙いのジグは、遅潮用200~250g、速潮用300g、激速潮用350~400g程度、PEライン2.5号、リーダー16~18号(50~55lb)をご用意されて下さいね~☝️
それ以上のカンパチ&ヒラマサ狙いのタックルは、PEライン4~5号、リーダー26~40号(80~120lb)をご用意下さいませ
何卒宜しくお願い致します
本日も皆さん、お疲れ様でした✋
































