千津丸
4月2日釣果!
磯釣り釣果
水温17,0℃
風東2〜3m
潮登り潮でした。
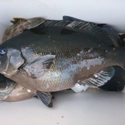
今日も登り潮が入りましたが底潮が動かないのか下っているのか水温は上がりきらず状況は変わらず、、、午前中はどこもわきグロがすごかったんですが、、、いい方で2桁釣果でいいサイズで46cmでした。まだまだ産卵意識している個体ばかりです。底物は2,5kg2枚でした。明日も通常どうり出航します。よろしくお願いします!
問い合わせ先
船長携帯(磯)090−3011−9673
イカダ予約080−1540−3824 延岡市須美江町123−12 詳しくは、お電話ください。 島野浦でお待ちしています。
千津丸船長甲斐和臣




























