こかわ渡船 雅丸
いかだ
投稿日:2019年3月20日
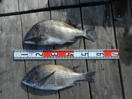
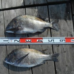
*桃の木・・・団子釣りで。チヌ、52cm1枚。チヌ、50.5cm1枚。(エサは、オキアミ。)寺倉・・・ヤエンで。アオリイカ、1100g1杯。アオリイカ、860g1杯。中ばな・・・アオリイカ、800g1杯。(当りは、4回。)松の鼻・・・団子釣りで、当りは、無く・・・。も崎・・・当りが無く・・・。網干し・・・当りが有ったようですが・・・。今日は、桃の木では、良型のチヌが上がり、寺倉では、良型のアオリイカが釣れていました・・・。お疲れ様でした。またのお越しを、待ってます。
















