※現地に釣り禁止の看板のある場所や、釣り禁止エリアでの釣行、路上駐車・ゴミ放置などの迷惑行為はお控え下さい。
※釣行の際は、必ずライフジャケットを着用下さい。
伊豆下田フィッシング
Loading...
いいねしたユーザー(件)
釣行日
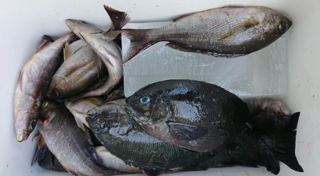
2019-03-09
時間
日中
天気
曇り
気温
寒い
潮
大潮
釣果
グレ(メジナ)
釣り方
フカセ釣り
※現地に釣り禁止の看板のある場所や、釣り禁止エリアでの釣行、路上駐車・ゴミ放置などの迷惑行為はお控え下さい。
※釣行の際は、必ずライフジャケットを着用下さい。
2019-03-09
日中
曇り
寒い
大潮
グレ(メジナ)
フカセ釣り