3月5日釣果!

磯釣り釣果

水温18、3℃

風東南東2〜3m

潮上り潮でした。

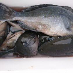
今日はお休みでしたが昨日の分があがっていなかったので再度、UPします。状況はまずまずでどこもメジナはかなりわいていましたがご機嫌斜めで中々釣果につながらず、、、いいサイズで47cm、尾長44cmでした!筏は小型ですが入れ食いでした。

問い合わせ先  

船長携帯(磯)090−3011−9673

イカダ予約080−1540−3824 延岡市須美江町123−12    詳しくは、お電話ください。 島野浦でお待ちしています。  

千津丸船長甲斐和臣

#九州 #宮崎 #延岡市 #門川町 #フカセ釣り #グレ #メジナ