寿丸
2019年2月14日釣果情報
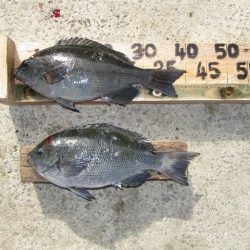
※2019年2月14日釣果情報 梁瀬さん 【S】ポイント瀬で、クチブトクロ40,5㎝、39,5㎝を、フカセ釣りで釣られたそうです。クチブトクロ良型40,5㎝、39,5㎝、お見事でした。
前田さん 【W】ポイント瀬で、クチブトクロ40,5㎝、38,5㎝、31㎝、オナガクロ35㎝、33,5㎝を、フカセ釣りで釣られたそうです。クチブトクロ良型40,5㎝、お見事でした。
その他の磯瀬では、フカセ釣りのお客様は、クチブトクロ38㎝、35㎝、33㎝、30㎝、真鯛40㎝級、チヌ45㎝級、【50㎝級チヌ、釣られたお魚、頂きました、ありがとうございました。】平鯛(40㎝級)、小鯛を、釣られたそうです。 夜明け後、正午前まで、東側磯瀬は、やや強風【北北東風北東風】風波が、やや高い中、正午、正午過ぎまで皆さんお疲れ様でした。
















