寿丸
2019年1月27日釣果情報
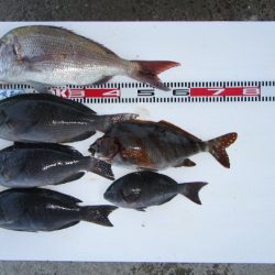
※2019年1月27日釣果情報 松井さん 真鯛58㎝(2,35㎏)、クチブトクロ45,5㎝、41,5㎝、41㎝、オナガクロ31㎝、良型キッコリ(タカノハダイ)を、フカセ釣りで釣られたそうです。その他、クチブトクロ、オナガクロ足裏サイズも釣られたそうですが、リリースされたそうです。持ち帰られた魚、全て真鯛狙いでのタックル【ライン&ハリス6号・真鯛針11号】で釣られたそうです。真鯛狙いでの真鯛58㎝、クチブトクロ45,5㎝頭に40㎝超え3枚、お見事でした。
フカセ釣りのお客様で、クチブトクロ42㎝2枚、40㎝2枚、38㎝、36㎝級を、釣られたお客様、お二人いらっしゃいました、お客様のご都合での正午回収で、大きいクチブトクロ頭2枚、検量持ち込みで、ある場所に行くのに、急がれてましたので写真撮影は出来ませんでした。尚、残りのお魚、お裾分け頂きました、ありがとうございました。クチブトクロ40㎝超え4枚、お見事でした。
その他の磯瀬では、フカセ釣りのお客様は、チヌ48㎝級、45㎝級、クチブトクロ37㎝、35㎝、30㎝、オナガクロ30㎝、足裏、手の平サイズを釣られたそうです。尚、足裏、手の平サイズは、リリースされたそうです。もう、お一人お客様から、釣られたお魚、お裾分け頂きました、ありがとうございました。 ※お裾分け頂いたお魚、後日、炙り刺身にして釣行されたお客様にお渡ししています。 フカセ釣りのお客様で、良型クチブトクロ【45㎝超え・・】数回ヒットしたそうなのですが、タモ入れ寸前瀬ズレで残念ながらバラシたそうです。次回、リベンジ、頑張られてください。 正午、正午過ぎ、最終まで皆さんお疲れ様でした。














