1月27日
1番クジ

ノコギリ
フカセ
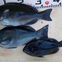
グレ33〜36cm

13枚

イサギ27〜33cm

3枚
徳島EFC

笹田さん
上り潮
港周り

16,1

16,3度

櫂投げ周り

14,4

15,4度
グレ33〜43cm

4枚

イサギ32〜34cm

2枚
徳島EFC

板東さん
グレ30〜36cm

3枚
徳島EFC

早見さん
2番クジ

三角
グレ33〜34cm

2枚
阿南

坂東さん
スベリ
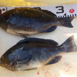
グレ34〜40cm

8枚
姫路

橋本さん
14番クジ

中のハエ


グレ34〜48?

6枚
巧手会

坂東さん
タニハン地
グレ32〜34cm

2枚
徳島

酒井さん
ジイ
グレ32cm

1枚
徳島

尾崎さん

#四国 #徳島 #フカセ釣り #グレ #メジナ