1月25日
4番クジ

ピストル
フカセ
グレ34cm

1枚

イサギ34cm

1枚
ISO

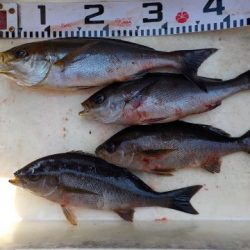
生田さん
下り潮
16,8

15,2度
沖ソエ
グレ28〜33cm

2枚
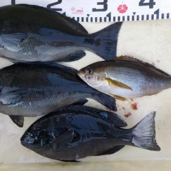
磯波会

矢和田さん
グレ32〜35cm

3枚

イサギ31cm

1枚
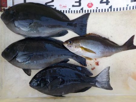
磯波会

青木さん
タニ
グレ36cm

1枚

イサギ37cm

1枚
姫路

大加戸さん
センコウテイ
イサギ32〜40cm

4枚
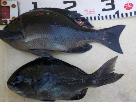
ISO

玉田さん
地ソエ
グレ33cm

1枚
磯波会

大西さん
船着き
イサギ28〜35cm

5枚
小松島

長野さん

#四国 #徳島 #フカセ釣り #イサキ #グレ #メジナ