大幸丸
12月25日
1番クジ
ノコギリ
フカセ
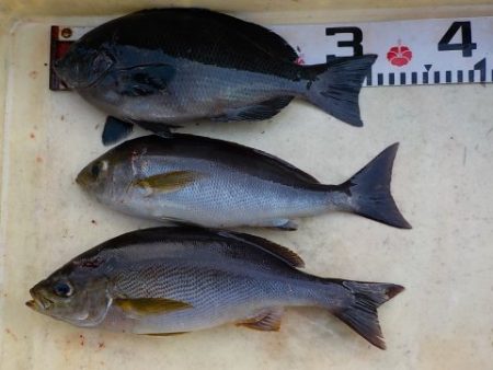
グレ31〜36cm
6枚
イサギ32cm
1枚
アイ30〜33cm
3枚
磯波会
大前さん
上り潮
18,4
〜
18,9度
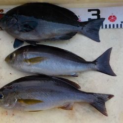
イサギ32〜34cm
2枚
磯波会
藤原さん
ノコの
地の地
アイ30〜33cm
5枚
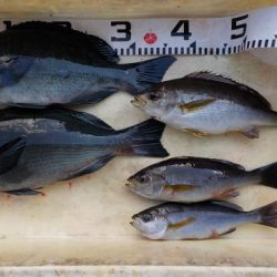
磯波会
大西さん
3番クジ
マルバエ
グレ31cm
1枚
イサギ33〜34cm
2枚
磯波会
青木さん
4番クジ
新ホリ
グレ28〜42cm
5枚
イサギ32cm
1枚
磯波会
福本さん
5番クジ
チュウデン
グレ38〜38cm
2枚
イサギ27〜33cm
3枚
徳島
山中さん
























