大幸丸
12月24日
2番クジ
三角
フカセ
グレ28cm
1枚
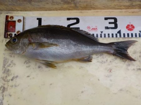
アイ30〜34cm
4枚
曙潮クラブ
岡田
直也さん
上り潮
16,8
〜
18,5度
4番クジ
オオバシゴ
イシダイ45cm
1枚
アイ33cm
1枚
姫路
松原さん
10番クジ
ナデ
イサギ33〜33cm
2枚
釣攻会
堀井さん
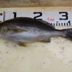
イサギ34cm
1枚
徳島EFC
吉見さん
ミッチャ
グレ35cm
1枚
徳島EFC
板東さん
エボシ
グレ31〜35cm
2枚
徳島EFC
早見さん
エボシ地
グレ33cm
1枚
イサギ32〜33cm
3枚
イシダイ40cm
1枚
徳島EFC
田中さん
18番クジ
カド
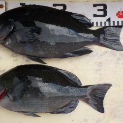
グレ37〜40cm
2枚
黒闘会
毛馬さん




























