大幸丸
12月16日
5番クジ
ゾウノハナ
フカセ
イサギ33cm
1枚
TEAMISO
生田さん
下り気味
18,2
〜
18,7度
キバ
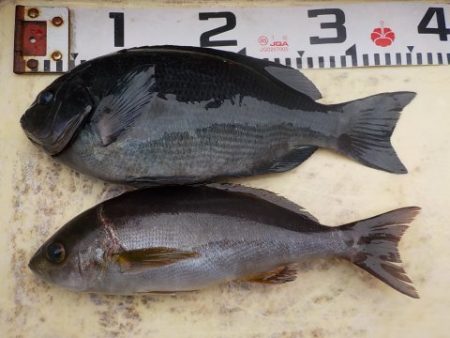
グレ35cm
1枚
アイ29cm
1枚
TEAMISO
長田さん
キムラ
グレ28〜36cm
2枚
アイ37cm
1枚
TEAMISO
土橋さん
チュウデン
アイゴ40cm
1枚
TEAMISO
瀬尾さん
まっちゃんバエ
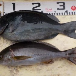
グレ34cm
1枚
アイ31cm
1枚
巧手会
坂東さん
ヒジカケ
グレ33cm
1枚
イサギ28〜34cm
12枚
TEAMISO
玉田さん
7番クジ
カナワ
グレ35cm
1枚
イサギ30〜34cm
8枚
巧手会
小島さん
昼迄
バッタリ
グレ36cm
1枚
イサギ35cm
1枚
牟岐町
森友和さん
ゲンロク
グレ30〜31cm
2枚
牟岐町
森和也さん
地フジ
グレ33〜36cm
4枚
牟岐町
大平さん
カワムラ
グレ31〜42cm
7枚
イサギ33cm
1枚
牟岐町
木下さん
カブト
グレ30〜42cm
14枚
牟岐町
西沢さん




































