大幸丸
12月15日
3番クジ
タニ
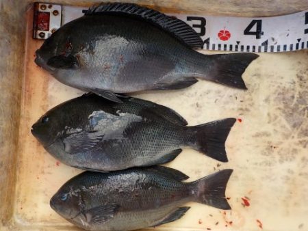
グレ30〜33cm
2枚
徳島
広瀬さん
上り潮
〜
動かない
18,7
〜
19,0度
4番クジ
ウマノセ
グレ32〜37cm
3枚
イサギ32〜36cm
2枚
アイ28〜33cm
4枚
匿名さん
タワラ
グレ32〜39cm
11枚
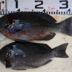
黒闘会
毛馬さん
グレ34〜38cm
3枚
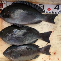
黒闘会
島崎さん
グレ34〜39cm
3枚
姫路
松原さん
ホリモン
グレ47cm
1枚
アイ30〜31cm
2枚
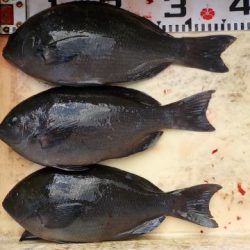
徳島
田中さん
グレ33〜38cm
4枚
黒闘会
森本さん


























