大幸丸
11月29日
7番クジ
カナワ
フカセ
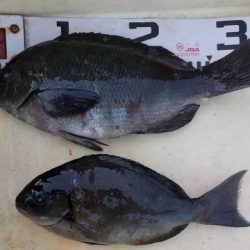
グレ28〜34cm
2枚
イサギ27〜30cm
2枚
アイ30cm
1枚
TAISHIKAI
桑田さん
下り潮
表周り
19,7度
沖フジ
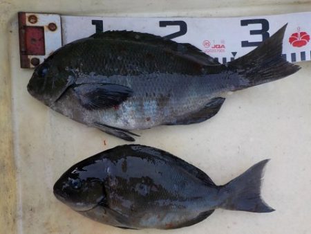
グレ26〜32cm
2枚
匿名さん
※現地に釣り禁止の看板のある場所や、釣り禁止エリアでの釣行、路上駐車・ゴミ放置などの迷惑行為はお控え下さい。
※釣行の際は、必ずライフジャケットを着用下さい。
2018-11-29
--
--
--
小潮
グレ(メジナ)
フカセ釣り
11月29日
7番クジ
カナワ
フカセ
グレ28〜34cm
2枚
イサギ27〜30cm
2枚
アイ30cm
1枚
TAISHIKAI
桑田さん
下り潮
表周り
19,7度
沖フジ
グレ26〜32cm
2枚
匿名さん