大幸丸
11月24日
9番クジ
オシドリ
フカセ
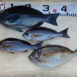
グレ36cm
1枚
イサギ28〜29cm
2枚
アイ36cm
1枚
43番さん
上り潮
20、0度
ジョウギ
グレ33〜36cm
4枚
鳴門
河野さん
イシダイ45cm
1枚
鳴門
大西さん
ウマノセ
32〜49cm
5枚
イサギ31cm
1枚
姫路
松原さん
※現地に釣り禁止の看板のある場所や、釣り禁止エリアでの釣行、路上駐車・ゴミ放置などの迷惑行為はお控え下さい。
※釣行の際は、必ずライフジャケットを着用下さい。
2018-11-24
--
曇り
--
大潮
アイゴ,グレ(メジナ)
フカセ釣り
11月24日
9番クジ
オシドリ
フカセ
グレ36cm
1枚
イサギ28〜29cm
2枚
アイ36cm
1枚
43番さん
上り潮
20、0度
ジョウギ
グレ33〜36cm
4枚
鳴門
河野さん
イシダイ45cm
1枚
鳴門
大西さん
ウマノセ
32〜49cm
5枚
イサギ31cm
1枚
姫路
松原さん