こかわ渡船 雅丸
いかだ
投稿日:2018年11月23日
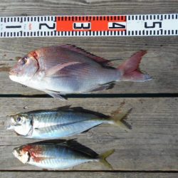
*網干し・・・ヤエンで。アオリイカ、790g頭に、3杯。(当りは、5回。)桃の木・・・マダイ、43cm1枚。大アジ、35cm頭に、2匹。(11時の早上がり。)中ばな・・・小ダイ、ばかり・・・。寺倉・・・ヤエンで。アオリイカ、400g2杯。(当りは、2回。)今日は、強風で、釣りづらい日でした・・・。お疲れ様でした。またのお越しを、待ってます。
※現地に釣り禁止の看板のある場所や、釣り禁止エリアでの釣行、路上駐車・ゴミ放置などの迷惑行為はお控え下さい。
※釣行の際は、必ずライフジャケットを着用下さい。
2018-11-23
日中
晴れ
--
大潮
アオリイカ
ヤエン
いかだ
投稿日:2018年11月23日
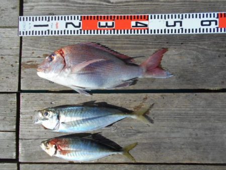
*網干し・・・ヤエンで。アオリイカ、790g頭に、3杯。(当りは、5回。)桃の木・・・マダイ、43cm1枚。大アジ、35cm頭に、2匹。(11時の早上がり。)中ばな・・・小ダイ、ばかり・・・。寺倉・・・ヤエンで。アオリイカ、400g2杯。(当りは、2回。)今日は、強風で、釣りづらい日でした・・・。お疲れ様でした。またのお越しを、待ってます。