大幸丸
11月15日
3番クジ
地ソエ
フカセ
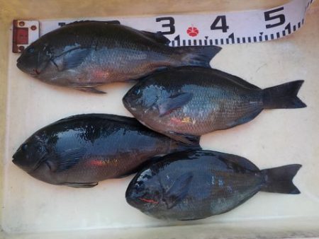
グレ35〜38cm
14枚
阿南
友成さん
上り潮
21,0度
7番クジ
金輪
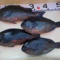
グレ35〜38cm
4枚
加古川
国司さん
※現地に釣り禁止の看板のある場所や、釣り禁止エリアでの釣行、路上駐車・ゴミ放置などの迷惑行為はお控え下さい。
※釣行の際は、必ずライフジャケットを着用下さい。
2018-11-15
--
--
--
小潮
グレ(メジナ)
フカセ釣り
11月15日
3番クジ
地ソエ
フカセ
グレ35〜38cm
14枚
阿南
友成さん
上り潮
21,0度
7番クジ
金輪
グレ35〜38cm
4枚
加古川
国司さん