寿丸
2018年11月10日釣果情報
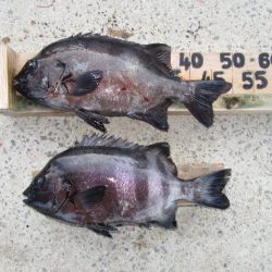
※2018年11月10日釣果情報 髙橋さん 石鯛53㎝(2,60㎏)を、底物(石鯛)仕掛けで釣られたそうです。石鯛53㎝、お見事でした。 西口さん 石鯛50㎝(2,10㎏)を、底物(石鯛)仕掛けで釣られたそうです。アリさん 石鯛46,5㎝(1,90㎏)を、底物(石鯛)仕掛けで釣られたそうです。石鯛50㎝、46,5㎝、お見事でした。 その他の磯瀬では、フカセ釣りのお客様は、真鯛35㎝級、クチブトクロ35㎝~30㎝、オナガクロ30㎝、足裏、手の平サイズを釣られたそうです。尚、足裏、手の平サイズは、リリースされたそうです。 正午過ぎ、最終まで、皆さんお疲れ様でした。
















