濱田渡船
2018年10月25日
今日の釣果
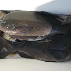
砥部町佐川さん良型グレイサキ
ありがとうございました
良い型のグレ・イサキが釣れてましたが全体的に釣果の方はムラがありますね・・・
朝晩寒くなりましたがまだまだ昼は暖かいですまた台風ができましたね・・・
月ちゃん寒くなってから夕方の帰りが早くなりました(=^..^=)
■[PR]
※現地に釣り禁止の看板のある場所や、釣り禁止エリアでの釣行、路上駐車・ゴミ放置などの迷惑行為はお控え下さい。
※釣行の際は、必ずライフジャケットを着用下さい。
2018-10-25
日中
晴れ
--
大潮
イサキ,グレ(メジナ)
フカセ釣り
2018年10月25日
今日の釣果
砥部町佐川さん良型グレイサキ
ありがとうございました
良い型のグレ・イサキが釣れてましたが全体的に釣果の方はムラがありますね・・・
朝晩寒くなりましたがまだまだ昼は暖かいですまた台風ができましたね・・・
月ちゃん寒くなってから夕方の帰りが早くなりました(=^..^=)
■[PR]