由良渡船
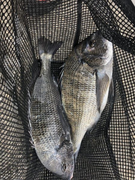
★釣果報告★
★台風前の静けさ!までとはいきませんが、だしの風で、波も落ち着き、磯場・離岸堤へ渡船しました。
今日は、真鯛・黒鯛の釣果が前回までより良かったと思います。
明日は、雨の予報ですが、台風が接近するまでは、波も穏やかだと思われます。
2018-09-29
日中
--
--
中潮
クロダイ(チヌ)
フカセ釣り
★釣果報告★
★台風前の静けさ!までとはいきませんが、だしの風で、波も落ち着き、磯場・離岸堤へ渡船しました。
今日は、真鯛・黒鯛の釣果が前回までより良かったと思います。
明日は、雨の予報ですが、台風が接近するまでは、波も穏やかだと思われます。