海山フィッシングセンター
9月1日筏釣り釣果
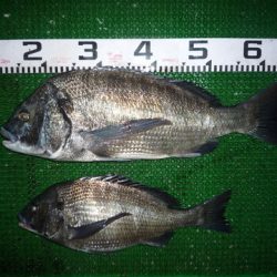
■名古屋市本田様
■クロダイ55cm、41cmキビレ35cm
※現地に釣り禁止の看板のある場所や、釣り禁止エリアでの釣行、路上駐車・ゴミ放置などの迷惑行為はお控え下さい。
※釣行の際は、必ずライフジャケットを着用下さい。
2018-09-01
日中
--
--
小潮
クロダイ(チヌ)
筏チヌ釣り
9月1日筏釣り釣果
■名古屋市本田様
■クロダイ55cm、41cmキビレ35cm