こかわ渡船 雅丸
いかだ
投稿日:2018年8月28日
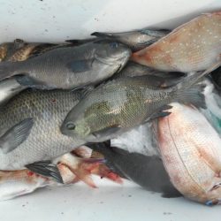
*寺倉・・・グレ、34cm頭に、他、マダイ、など。坂の下・・・アジ、少々。ウマズラハギ、など。今日は、良型のグレ、ウマズラハギが、釣れていました・・・。お疲れ様でした。またのお越しを、待ってます。
※現地に釣り禁止の看板のある場所や、釣り禁止エリアでの釣行、路上駐車・ゴミ放置などの迷惑行為はお控え下さい。
※釣行の際は、必ずライフジャケットを着用下さい。
2018-08-28
日中
曇り
暑い
中潮
グレ(メジナ),マダイ
その他餌釣り
いかだ
投稿日:2018年8月28日
*寺倉・・・グレ、34cm頭に、他、マダイ、など。坂の下・・・アジ、少々。ウマズラハギ、など。今日は、良型のグレ、ウマズラハギが、釣れていました・・・。お疲れ様でした。またのお越しを、待ってます。