宮川丸
アジ(堤防) 2018年08月27日(月曜日)堤防,堤防周り宮川丸
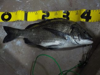
釣果:お二人様で169匹大きさ:14~21㎝場所:各堤朝から一日絶好調に釣れ皆さん100匹前後は釣れていました。型も一時から比べれば大きくなってきて今が狙い時かもしれません、アミコマセご予約いただければ解凍しておきます。シロギスは20匹前後釣れていました。
※現地に釣り禁止の看板のある場所や、釣り禁止エリアでの釣行、路上駐車・ゴミ放置などの迷惑行為はお控え下さい。
※釣行の際は、必ずライフジャケットを着用下さい。
2018-08-27
日中
晴れ
暑い
大潮
アジ
サビキ
アジ(堤防) 2018年08月27日(月曜日)堤防,堤防周り宮川丸
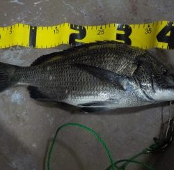
釣果:お二人様で169匹大きさ:14~21㎝場所:各堤朝から一日絶好調に釣れ皆さん100匹前後は釣れていました。型も一時から比べれば大きくなってきて今が狙い時かもしれません、アミコマセご予約いただければ解凍しておきます。シロギスは20匹前後釣れていました。