にゃんこせんせい
知夫里島 薄毛地区護岸にて メタルジグで辺りをチェック。シオが釣れた。スプラッシャーにチェンジ。
シーバスがでるが何度もミスバイト。
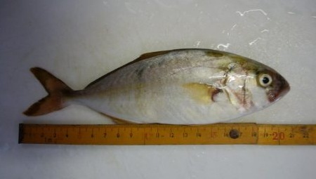
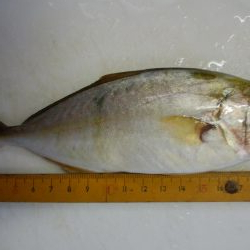
ペンシルにチェンジしてさらにミスバイトののちやったヒット!慎重にやりとりしランディングできた。
夕方に多沢地区護岸に。ボトムの敷石をテキサスリグでチェック。よく引くがしらをゲットした。






















