大幸丸
6月30日
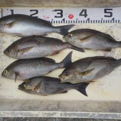
2番クジ
フンドシ
フカセ
イサギ30〜35cm
7枚
阿南
猪谷さん
下り潮
22,4度
イサギ30〜37cm
15枚
徳島
大西さん
17番クジ
モモ
底物
イシダイ46cm
1枚
イシガキ35cm
1枚
徳島
秋永さん
※現地に釣り禁止の看板のある場所や、釣り禁止エリアでの釣行、路上駐車・ゴミ放置などの迷惑行為はお控え下さい。
※釣行の際は、必ずライフジャケットを着用下さい。
2018-06-30
日中
--
--
中潮
イシガキダイ,イシダイ,グレ(メジナ)
フカセ釣り,底物
6月30日
2番クジ
フンドシ
フカセ
イサギ30〜35cm
7枚
阿南
猪谷さん
下り潮
22,4度
イサギ30〜37cm
15枚
徳島
大西さん
17番クジ
モモ
底物
イシダイ46cm
1枚
イシガキ35cm
1枚
徳島
秋永さん