ロベルト
シラサエビが不漁の為、ブツエビで釣行!
予定よりも早く雨が降りだしましたがまずまずの釣果でした(^-^)!
※現地に釣り禁止の看板のある場所や、釣り禁止エリアでの釣行、路上駐車・ゴミ放置などの迷惑行為はお控え下さい。
※釣行の際は、必ずライフジャケットを着用下さい。
2018/05/13
朝
雨
やや寒い
中潮
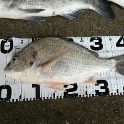
キビレ×2
チヌ×1
シマイサキ×1
竿:メガディス1.75号
リール:ストラディック3000
エビ撒き釣り
シラサエビが不漁の為、ブツエビで釣行!
予定よりも早く雨が降りだしましたがまずまずの釣果でした(^-^)!