brotherhood
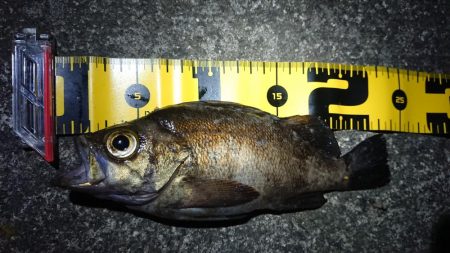
帰省している弟と夕マズメに出撃。ポツポツ釣れ、最大27センチ筆頭に良型が釣れました。
弟はチビメバル1匹でしたが、デカいのをバラシていました。
※現地に釣り禁止の看板のある場所や、釣り禁止エリアでの釣行、路上駐車・ゴミ放置などの迷惑行為はお控え下さい。
※釣行の際は、必ずライフジャケットを着用下さい。
2018/5/4
夕方
晴れ
快適
中潮
メバル6匹、27センチ
アジ1匹
シャローフリーク、ジグヘッド、ワームピンク色他
メバリング
帰省している弟と夕マズメに出撃。ポツポツ釣れ、最大27センチ筆頭に良型が釣れました。
弟はチビメバル1匹でしたが、デカいのをバラシていました。