ななしさん
20分程山歩きをして到着。
早速、裂波からスタート。
で、開始早々にヒット!
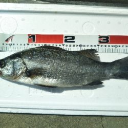
しかし、かなり小さいサイズなんで楽勝で抜き上げ。
リリースサイズなんやろうけど、とりあえずストリンガーで活かしておくことにします。
サイズアップすればリリースしたらええなー、と皮算用(笑)
この後は頑張って投げましたが、やはりノーバイト。
波もサラシもほとんど無かったんで、厳しかったですねー。
帰宅後計測したところ42cmでした。


















