寿丸
2018年4月17日 釣果情報
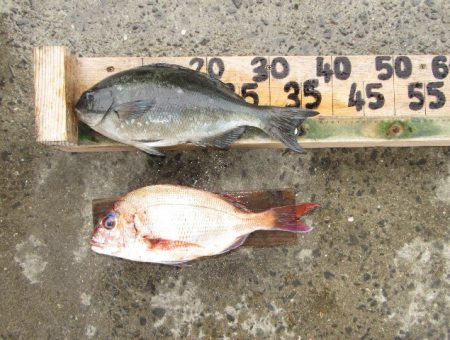
吉田さん オナガクロ38㎝(茶グレっぽいですが・・取り込まれた時は、茶色だったそうです、本人談話) 、小鯛35㎝を、フカセ釣りで釣られたそうです。その他、オナガクロ足裏、手の平サイズも釣られたそうですが、リリースされたそうです。お客様のご都合で、正午には回収となりました。
平さん チヌ42,5㎝、41㎝、40,2㎝を、フカセ釣りで釣られたそうです。その他、オナガクロ足裏、手の平サイズも釣られたそうですが、リリースされたそうです。 チヌ40㎝超え3枚、お見事でした。
その他の磯瀬では、フカセ釣りのお客様は、クチブトクロ36㎝~33㎝、オナガクロ30㎝、足裏サイズ、小鯛を釣られたそうです。 尚、クチブトクロ40㎝超えを活かしスカリに入れてたら、フタの閉め忘れで逃げられたそうです。勿体無かったですね、次回、リベンジ、頑張られてください。
正午前から雨が降る中、正午、正午過ぎまで皆さんお疲れ様でした。
















