千鳥丸
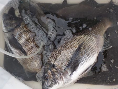
4月16日、各磯での釣果です。
学校下ではチヌ2匹、グレの釣果がありました☆
青木の灘ではチヌ3匹、グレの釣果がありました☆
針ハズレもありますので数はそれなりに入ってきてますね~(^^)
※現地に釣り禁止の看板のある場所や、釣り禁止エリアでの釣行、路上駐車・ゴミ放置などの迷惑行為はお控え下さい。
※釣行の際は、必ずライフジャケットを着用下さい。
2018-04-16
日中
晴れ
--
大潮
クロダイ(チヌ)
フカセ釣り
4月16日、各磯での釣果です。
学校下ではチヌ2匹、グレの釣果がありました☆
青木の灘ではチヌ3匹、グレの釣果がありました☆
針ハズレもありますので数はそれなりに入ってきてますね~(^^)