朝日丸
4月15日(日)小豆島南〜東朝定期便
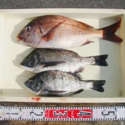
岡山市の大内様
真鯛 50.0cm 1匹
チヌ 35.5〜39.5cm 2匹
倉敷市の中西様
真鯛 36.5cm 1匹
チヌ 31.5〜34.0cm 3匹
岡山市の三村様
真鯛 46.0〜50.0cm 2匹 他
岡山市の藤代様
チヌ 33.5〜40.0cm 3匹
岡山市の前田様
マコガレイ 30.0〜33.0cm 6枚 他
新岡山港より小豆島・豊島・小豊島・庵治沖・志度沖を中心に渡船を行なっています。
予約・お問い合は・・・
24時間予約専用ダイヤル090−3378−7319
朝日フィッシたング・朝日丸 迄ご連絡ください。
































