ななしさん
気が早いのかもしれませんが、風の噂で釣れたと聞いたので青物を狙いに仕事前に通っております。
今朝は風が強い予報ですが、起きて外に出ると大したことなさそうなので出撃。
5時過ぎに到着。
風はそこそこあるけど、何とかなりそう。
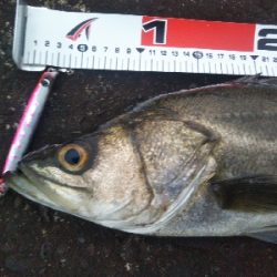
PE2号なので軽いルアーだと糸フケで泳がないんで、飛びキングのピンクでスタート。
川からの濁りがキツく外海の潮との境がかなり遠くて、濁りの中しか引けません。
5時半頃、かなり手前でいきなりゴンと乗った。
キツめのドラグは全く出ず、ゴリ巻で瞬殺ネットイン。
今年初シーバスでしたが、ショアジギロットなので引きを楽しむことができんかったのがちょっと残念かな。
この後も6時半まで頑張ったけど、シーバスっぽいワンバイトのみで終了。
流石に青物は、まだ早いんかな(笑)
そない言いながら通うけどね。


















