頭がピカソ
仕事を早く切り上げて
食品コンビナートへメバル探しに
行ってきました。
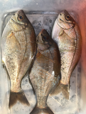
テトラ周りのワカメ地帯には、
ウミタナゴの大群が。
第1投目から、ウミタナゴ
よく引くので面白いが、
メバルの気配無し。
途中、1匹 だけ、マイクロメバルゲット。
※現地に釣り禁止の看板のある場所や、釣り禁止エリアでの釣行、路上駐車・ゴミ放置などの迷惑行為はお控え下さい。
※釣行の際は、必ずライフジャケットを着用下さい。
2018/04/02
夕方
晴れ
快適
大潮
マイクロメバル 1匹
ウミタナゴ 25匹 〜25cm
磯竿1号 浮き
浮き シラサエビ
仕事を早く切り上げて
食品コンビナートへメバル探しに
行ってきました。
テトラ周りのワカメ地帯には、
ウミタナゴの大群が。
第1投目から、ウミタナゴ
よく引くので面白いが、
メバルの気配無し。
途中、1匹 だけ、マイクロメバルゲット。