寿丸
2018年3月25日 釣果情報
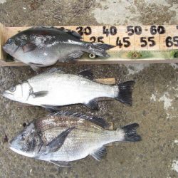
MATUIさん クチブトクロ44㎝(1,50㎏)、43,5㎝(1,60㎏)、チヌ43,5㎝、真鯛40㎝、小鯛を、フカセ釣りで釣られたそうです。
クチブトクロ良型44㎝、良型43,5㎝、チヌ43,5㎝、真鯛40㎝、お見事でした。
吉田さん クチブトクロ42,5㎝(1,40㎏)、ヒラスズキ50㎝、チヌ48㎝(2,0㎏)を、フカセ釣りで釣られたそうです。
クチブトクロ良型42,5㎝、ヒラスズキ50㎝、チヌ良型48㎝、お見事でした。
その他の磯瀬では、フカセ釣りのお客様は、チヌ40㎝~50㎝級、クチブトクロ良型38㎝、36㎝~34㎝、30㎝、小鯛を釣られたそうです。
良型クチブトクロ【40㎝超え~45㎝級・・・】数回ヒットしたそうなのですが、すっぽ抜けで残念ながらバラシたそうです。次回、リベンジ、頑張られてください。
正午過ぎ、最終まで皆さんお疲れ様でした。
















