2018年 03月 13日
今日の釣果

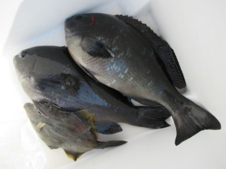
兵庫県加古川市  大西さん  良型イサキ  グレ

   香川県  山川さん  良型グレ

   岡山県  赤堀さん  良型グレ

ありがとうございました 

今日は全体的にきびしかったです・・・ 

暖かい1日でした 1週間くらいしたら桜が咲くかな・・・