大幸丸
3月7日
5番クジ
まっちゃん
バエ
フカセ
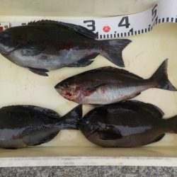
グレ 32〜40cm
3枚
イサギ 37cm
1枚
曙潮クラブ
岡田さん
上り潮
14,8
〜
15,1度
※現地に釣り禁止の看板のある場所や、釣り禁止エリアでの釣行、路上駐車・ゴミ放置などの迷惑行為はお控え下さい。
※釣行の際は、必ずライフジャケットを着用下さい。
2018-03-07
日中
--
--
中潮
イサキ,グレ(メジナ)
フカセ釣り
3月7日
5番クジ
まっちゃん
バエ
フカセ
グレ 32〜40cm
3枚
イサギ 37cm
1枚
曙潮クラブ
岡田さん
上り潮
14,8
〜
15,1度