2018年3月3日 釣果情報
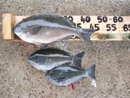
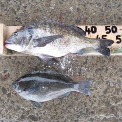
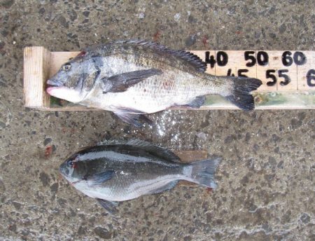
※2018年3月3日釣果情報    濵﨑さん クチブトクロ47㎝、36,5㎝、34㎝を、フカセ釣りで釣られたそうです。その他、クチブトクロ30㎝級も釣られたそうですがリリースされたそうです。 クチブトクロ良型47㎝、お見事でした。                                         稲川さん クチブトクロ41㎝、38㎝を、フカセ釣りで釣られたそうです。その他、ブダイも釣られてました。 クチブトクロ41㎝、良型38㎝、お見事でした。                                       吉田さん クチブトクロ40㎝、37㎝、35㎝を、フカセ釣りで釣られたそうです。 クチブトクロ良型40㎝、お見事でした。                                       中尾さん チヌ51,5㎝、クチブトクロ38,5㎝を、フカセ釣りで釣られたそうです。 チヌ良型51,5㎝、クチブトクロ良型38,5㎝、お見事でした。                                     その他の磯瀬では、フカセ釣りのお客様は、チヌ50㎝級、クチブトクロ38㎝、37㎝、36㎝~34㎝を釣られたそうです。 良型クチブトクロ【40㎝超え45㎝級・・・】数回ヒットしたそうなのですが、すっぽ抜け、ライン瀬ズレで残念ながらバラシたそうです。次回、リベンジ、頑張られてください。       正午前から夕方最終までやや強風【東北東風】、及び風波が高くて、東側磯瀬は釣行するには厳しい状況でした。正午前から雨が降り、風波が高い中、正午、正午過ぎ、最終まで皆さんお疲れ様でした。